|
|
 |
|
 |
 |
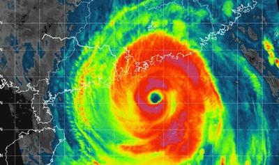
【快訊】【超強颱風樺加沙吹襲香港】天文台發十號颶風信號
(2025/9/23)
【明報專訊】超強颱風樺加沙吹襲香港,天文台在凌晨2時40分(當地時間)改發十號颶風信號,表示本港平均風速每小時118公里或以上。
天文台說,預料十號颶風信號會維持一段時間。
天文台並且在2時45分發出黃色暴雨警告信號。
今次是繼今年7月熱帶氣旋韋帕以來,天文台再次發出十號颶風信號。
|
|
|
|
 |
|
 |
 |
A D V E R T I S E M E N T |
|
|
|
|
|
 |
|
A D V E R T I S E M E N T |
|
|
|
|
|
|
 |
|
|
 |
 |
[] [] [] [] [] [] |
 |
|
 |
MING PAO DAILY NEWS |
A wholly owned subsidary of Ming Pao Enterprise Corporation Ltd. |
 |
|
1355 Huntingwood Drive, Scarborough, Ontario, Canada M1S 3J1
Tel.: (416) 321-0088 Fax: (416) 321-9663 Advertising Hotline Tel: (416) 673-8250
|
|
|
|